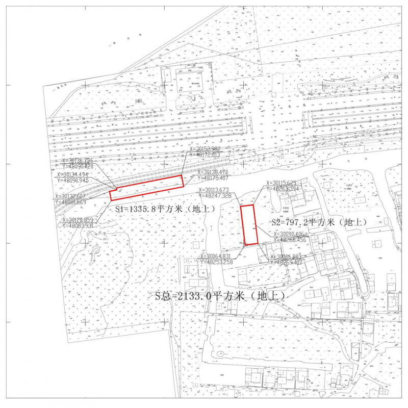
近日,轨交7号线南段延伸线工程(木里站(不含)~旺山路站)选址正式公示!


公示显示,该工程地上面积2133.0平方米,根据前期规,7号线南延段,起于既有7号线(原4号线支线)木里站,向西沿东太湖路敷设,于规划旺山路路口设站。本工程共一站一区间,全长约1.45km。
苏州市轨道交通7号线整体呈南北走向,连接了相城区、工业园区、吴中区等多个城市中心,强化了湖西核心区(CBD)与高铁新城、太湖新城之间的联系,也是高铁苏州北站客流的重要集散线路。全线(莫阳~红庄)长约29.6km,设站25座,其中5座站点(林家潭路~枫津路)坐落于吴中区。
待7号线建成后,轨道交通4号线支线与主线拆解,与7号线贯通运营。届时,7号线在吴中将有14个站点(林家潭路~旺山路)大大方便沿线居民出行,也将为吴中太湖新城·数字经济创新港,提供更高便捷的交通配套。


















